Huracán Bud se intensifica a categoría 4
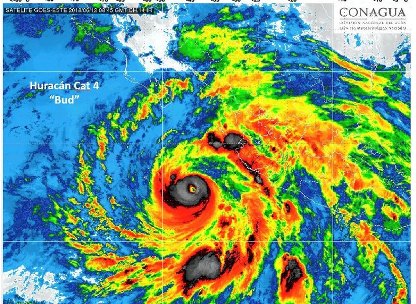
[El Servicio Meteorológico Nacional (SMN) informó esta madrugada que el huracán Bud se ha intensificado a la categoría 4 de la escala Saffir-Simpson.
Explicó que sus bandas nubosas favorecen el potencial de lluvias intensas a puntuales torrenciales en Jalisco, Colima, Michoacán y Nayarit, y puntuales intensas en Sinaloa y Durango.
En el aviso más reciente emitido por el organismo dependiente de la Comisión Nacional del Agua (Conagua) precisó que el huracán se ubica a 360 kilómetros al oeste-suroeste de Playa Perula, Jalisco, y a 365 kilómetros al suroeste de Cabo Corrientes, Jalisco, y a 560 kilómetros al sur-sureste de Cabo San Lucas, Baja California Sur.
Indicó que Bud registra vientos sostenidos de 215 kilómetros por hora y rachas de 260 kilómetros por hora, con desplazamiento hacia el noroeste a 11 kilómetros por hora.(NOTIMEX)]
Share




En… Redes Sociales